Antonin Guillot
Le Camp Américain d'Allerey
(1918 --1919)

"A TYPICAL HOSPITAL CENTER"(6)

ORGANISATION ET VIE DU CAMP

1.

INSTALLATIONS ET EQUIPEMENTS

Bâtiment de la Direction des travaux.

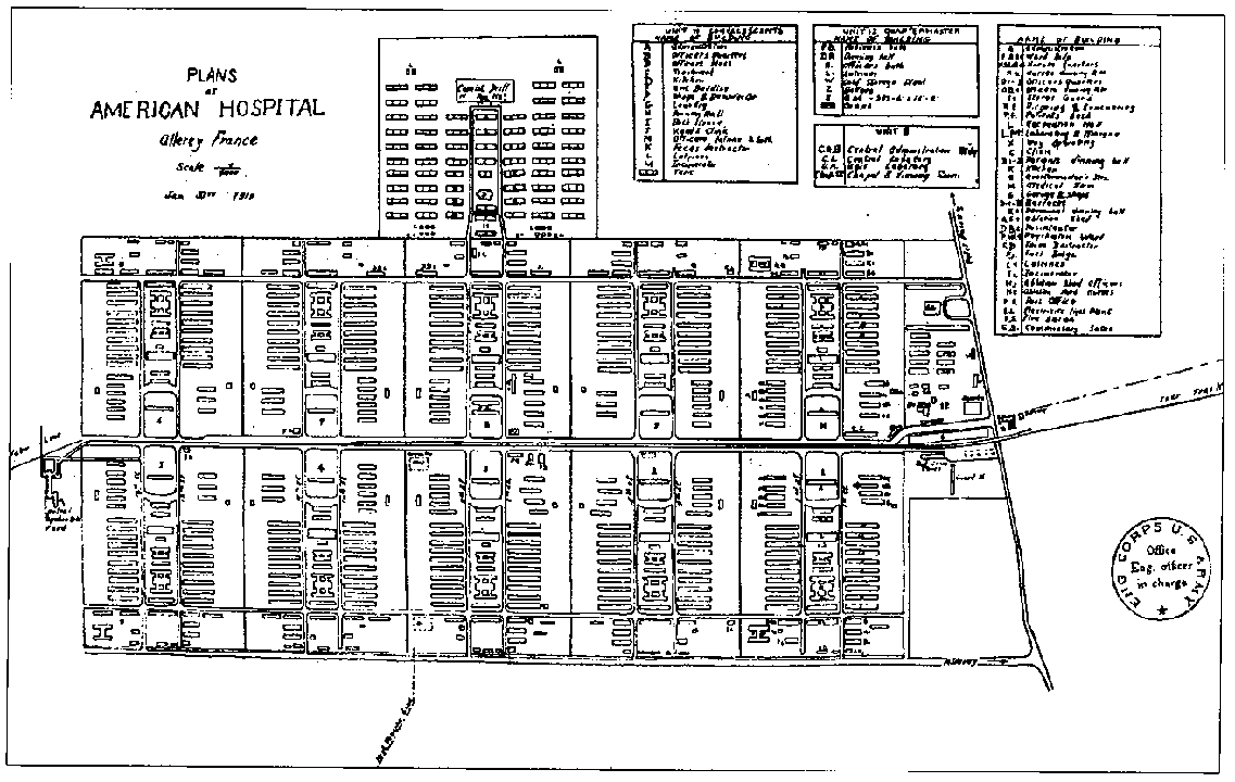
Conformément aux directives du Haut Commandement, les Centres hospitaliers américains étaient construits selon des plans standards. Ils étaient divisés en sections quadrangulaires identiques, en nombre variable selon leur importance.

Le Centre hospitalier d'Allerey se composait de 13 sections et d'un cimetière indépendant (voir le plan d'ensemble). 10 sections, en deux groupes de cinq, fonctionnaient en principe comme hôpitaux de base, tous bâtis selon un même plan type. Une autre section comprenait les bâtiments de la Direction (Quartier Général) et le parc automobile ; une autre, bâtie à l'écart, était affectée à une unité psychiatrique. Un camp de convalescence formait une 13ème section annexe au nord du camp.

Le camp était traversé par une ligne de chemin de fer à deux voies, reliée au P.L.M. (ligne de Chalon à Gray) à hauteur du hameau de Chauvort. Elle permettait de décharger facilement les blessés et malades, ainsi que le ravitaillement. Les routes qui longeaient les voies formaient une large avenue(7) facilitant la circulation des ambulances et des camions. De cette allée centrale, épine dorsale du camp, partaient dans chaque section, deux routes secondaires desservant les hôpitaux de base, elles-mêmes raccordées par plusieurs chemins de traverse. Il y avait également des chemins(8) le long de la ligne arrière des deux ensembles de cinq hôpitaux de base répartis symétriquement de chaque côté de la voie ferrée (voir plan).

Chacun de ces hôpitaux de base était destiné à recevoir 1 000 malades et le personnel d'accompagnement et pouvait augmenter sa capacité de 1 000 lits à l'aide de tentes, et davantage encore en cas de besoin. Ils étaient conçus comme un ensemble autonome, sauf en ce qui concernait les moyens de transport et d'autres équipements communs. Un tel ensemble autonome se composait de 55 bâtiments répartis comme suit :

* administration ; réception et sorties;
* salles à manger ; cuisines ;
* salles de bain et toilettes (w.c.) pour les malades, les infirmières et le personnel administratif;
* salles d'hôpital ;
* salles d'opérations
* laboratoires et funérarium;
* salles de récréation ;
* direction et fournitures médicales;
* garage ; magasin;
* désinfection ;
* réserve de carburant;
* incinérateur.

Les bâtiments des hôpitaux de base étaient des baraques du type 1 décrites plus haut (voir construction du camp). Chaque unité hospitalière ressemblait à sa voisine, à quelques détails près, tels que l'emplacement des latrines ou l'adjonction d'une tente à l'arrière, dans les zones de "développement d'urgence".

Section type du Centre hospitalier d'Allerey.

Plan d'une unité type.

Le centre achevé comptait 620 bâtiments de divers types.

Les tentes, fabriquées en France, de 5,20 m sur 10,50 m, étaient de type "Marquee". Trois tentes reliées bout à bout et placées à l'arrière d'une salle, la prolongeaient. Deux rangées de lits, avec un passage central, accroissait la capacité d'une salle de 50 lits (ou d'un peu moins pour permettre l'installation de poêles). Il s'avéra nécessaire de placer des planches sous les pieds des lits pour éviter qu'ils ne s'enfoncent à travers la toile goudronnée qui servait de plancher.

On installa 36 tentes dans chaque unité, ce qui augmentait la capacité de la section hospitalière de 600 lits qui, à certains moments, étaient tous occupés. La mise en place de tentes à l'arrière d'une salle sur deux provoqua certaines difficultés dans le service des salles, mais ce procédé fut adopté pour diminuer les risques d'incendie.

A l'extrémité Est du camp, à l'entrée de l'embranchement de la voie ferrée (voir plan), la section de la Direction et du transport automobile comprenait l'entrepôt (de 120 m x 15 m), la manutention, la glacière, les boulangeries, les baraques pour les travailleurs civils, le parc de stationnement, le garage, des ateliers, le poste d'essence, etc.

La section de l'ensemble psychiatrique, à l'ouest du camp, faisait face à la très large allée centrale, au-delà de l'extrémité de la voie ferrée. Il comprenait des logements, salles à manger, cuisines, salles de bain et toilettes pour les soldats et le personnel. Cet ensemble ne fut jamais achevé mais fut occupé par la police militaire pendant la période de peuplement maximum du camp.

Le camp des convalescents était établi au nord des sections n° 7 et 8. Il se composait de 20 bâtiments et de 150 tentes, capables d'accueillir 5 000 hommes à la fois. On y accédait par les chemins qui traversaient la section n° 7. Il présentait un agencement général analogue à celui des hôpitaux de base, avec toutefois cette différence que les salles d'hôpital étaient remplacées par des tentes (pour 2 000 malades) et que le reste était supprimé, à savoir : les logements des infirmières et dépendances, les salles de réception, les laboratoires, le pavillon des opérations, le funérarium, les garage et magasin.

.

LES EQUIPEMENTS

Les Américains avaient envisagé des délais assez longs pour obtenir la capitulation de l'Allemagne. Ils estimaient en outre que les efforts et les sacrifices seraient considérables, C'est pourquoi les équipements hospitaliers à l'arrière avaient été conçus en prévision de combats difficiles et devant se prolonger durant de longs mois.

Mais du fait de l'importance de ces établissements, leur installation fut souvent jalonnée de difficultés. A Allerey il fallut du temps pour arriver à un équipement suffisant et efficace. Pendant toute l'existence du Centre hospitalier, presque jusqu'à sa fermeture, il y eut de fréquentes interruptions dans les constructions et dans la marche de certains services, dans la production d'électricité ou le fonctionnement des pompes à eau. Des retards dans le trafic ferroviaire, des embargos, le manque d'hommes dans les dépôts, provoquèrent des attentes fréquentes dans la réception des matériaux de construction ou d'autres fournitures. En outre, dans les plans initiaux, on n'avait pas prévu de bureaux pour l'Etat-major, ni bureau de poste et quelques autres services : néanmoins, on y pourvut aussi rapidement que possible.

.

* L'ECLAIRAGE

Au départ les plans prévoyaient une ligne à haute tension reliant le camp à Chalon, destinée à fournir l'éclairage et la force motrice, mais le projet fut abandonné.

Il fallut donc installer peu à peu cinq petits groupes électrogènes de 25 kw, chacun devant alimenter deux des dix sections du Centre hospitalier. Ces groupes ne fonctionnèrent qu'après l'arrivée des premiers patients ; le n° 1, situé entre les sections 1 et 2 qu'il alimentait, entra en service le 26 juin.

Chauffage dans une salle de soins (oculiste et dentiste).

(PHOTO C.L. FITCH)
Chauvort. Déchargement de bois pour le camp d'Allerey.

On mit les autres en marche au fur et à mesure de leur construction ; un 6ème et dernier, dans la section 8, fournit du courant pour la première fois le 9 novembre 1918. En attendant, on utilisa des bougies et des lanternes.

Comme ces groupes électrogènes était d'un rendement faible et nécessitaient une surveillance permanente, ce mode d'alimentation électrique ne fut jamais satisfaisant. Quand il fut nécessaire de fournir du courant à 12 sections du centre hospitalier au lieu de 10, le système s'avéra spécialement défectueux ; et lorsque des malades arrivaient le soir, comme c'était souvent le cas, l'intensité du courant n'était pas suffisante pour éclairer convenablement les points d'accueil, les salles et les blocs opératoires, ni pour faire fonctionner le matériel à rayons X. On dut suppléer à ces carences en plaçant des lanternes en différents endroits du Centre hospitalier et utiliser le courant avec parcimonie.

.

* LE CHAUFFAGE

Comme on appréhendait l'approche du temps froid, on réquisitionna des poêles dès juillet 1918. Cependant, ils n'arrivèrent en nombre suffisant qu'après les premiers froids, fin octobre et début novembre. A la mi-décembre, il y en eut enfin assez, pour en affecter deux à chaque salle commune et un à chaque double tente.

Le "Fire Marshall" (sous-officier chargé des feux) était responsable de leur installation. Il y avait toujours suffisamment de combustible en permanence, les stocks, en prévision de retards de livraisons, se montant à plusieurs milliers de tonnes. Le bois était livré par péniches au port de Chauvort où il s'entassait en tas énormes avant d'être emmené au camp par voitures, ou coupé dans la forêt voisine par des civils.

Les poêles n'étaient pas tous adaptés aux types de combustibles fournis et leur fonctionnement causait de multiples problèmes. Par ailleurs, quand on commença à chauffer les bâtiments, de grosses fissures apparurent, le bois de pin utilisé pour la construction étant encore vert : le vent et le froid s'engouffraient par ces fentes...

.

* PREVENTION DES INCENDIES

Dans un camp composé entièrement de bâtiments en pin et de toiles de tente, les risques d'incendie étaient particulièrement grands. On parvint à les réduire en éloignant suffisamment les unités (hôpitaux de base) et les tentes les unes des autres et en installant des pare-étincelles sur toutes les cheminées ou tuyaux de poêle. Dès le début on dota également chaque unité d'un équipement minimum : lances, barils (45), seaux, échelles et extincteurs. Finalement, toutes les unités furent équipées d'extincteurs, de 10 pompes de 20 litres et de 200 m de tuyaux souples.

On créa en outre un service central d'intervention contre le feu, disposant d'un chariot avec une citerne de mousse carbonique de 340 litres. Ce service fonctionnait de jour et de nuit avec 10 hommes commandés par un officier et un sous-officier chargés de la surveillance du centre hospitalier et de la bonne marche du groupement. Plus tard on ajouta, par précaution, trois autres chariots, placés dans le camp des convalescents, dans la section n° 5 et dans la section du quartier général. Des instructions détaillées furent affichées dans toutes les salles, baraques, etc., et des séances d'entraînement furent organisées.

En dépit de toutes les précautions prises, il se produisit maints petits incendies dont environ 90% étaient attribués aux mégots de cigarettes. On ne connut qu'un incendie d'une certaine gravité dû à l'explosion d'un réservoir d'essence. De peur que le feu atteigne les malades alités ou de perdre même un seul bâtiment, il fut interdit de fumer dans les salles et baraquements jusqu'à ce que le nombre de ces malades ait baissé notablement.

Les responsables du Centre hospitalier ne purent que se féliciter de l'efficacité de leur service de prévention des incendies et de n'avoir pas eu à déplorer de sinistres importants.

Prévention minimale des incendies (seau et tonneau).

Les hommes du service central de prévention des incendies.

Le réservoir d'eau de 380 m3.

.

* L'ALIMENTATION EN EAU

Elle était assurée par des pompes actionnées par des moteurs à essence et puisant l'eau de trois puits profonds en moyenne de 17 m, situés à Chauvort, au lieu-dit "Les Corvées", non loin de la Saône, à proximité de l'embranchement de la voie ferrée desservant le camp. Une pompe de surpression chassait alors l'eau, par une conduite principale de 20 cm de calibre, dans le système d'alimentation en eau des différentes sections du Centre hospitalier ; des tuyaux de calibre 10 cm, munis de vannes au raccordement avec la conduite principale, alimentaient chaque ensemble hospitalier, et la répartition finale dans les bâtiments était assurée par des tuyaux d'un calibre de 1,9 à 5 cm. L'excédent était déversé dans un réservoir en maçonnerie, d'une contenance de 380 m3 (380 000 litres), édifié sur une hauteur en dehors et à l'ouest du camp, au point le plus élevé de la commune.

Le débit de l'installation de pompage passa de 76 000 litres par jour en août à 190 000 litres en décembre.

Un appareil central de javellisation avait été (mal) installé, mais ne put être utilisé; on stérilisa donc l'eau de tous les ensembles hospitaliers au moyen de sachets antiseptiques "Lyster", afin d'éviter les maladies dues à une éventuelle contamination de l'eau potable.

.

* AMENAGEMENTS SANITAIRES

On s'attaqua aux problèmes d'hygiène avec un certain succès, qu'il s'agisse du drainage, de l'élimination des ordures et des excréments, de la désinfection, du logement des patients et du personnel, ou des épidémies.

A l'arrivée du premier hôpital de base le 20 juin, un certain nombre de fossés d'écoulement avait été creusé et le terrain était donc relativement bien drainé. Par la suite on aménagea un système d'égouts et le drainage s'améliora, tout en continuant de poser quelques problèmes lors des pluies d'automne.

Les égouts consistaient en une conduite principale de 30 cm de diamètre, avec des ramifications de 15 et 10 cm de diamètre aboutissant, dans chaque ensemble hospitalier, aux salles de réception, aux blocs opératoires, aux cuisines et au laboratoire.

Les déchets liquides étaient conduits dans un réservoir de décantation en béton situé à 400 mètres au nord du Centre hospitalier, réservoir dans lequel ils étaient javellisés conformément à la législation française. L'effluent clarifié était ensuite déversé dans un fossé l'emportant à la Saône.

Du fait de la difficulté de se procurer des canalisations, l'installation du système d'égout fut fortement retardé et l'enlèvement des déchets liquides demeura un problème sérieux pour certaines parties du camp. Au début, on les emportait dans des fûts placés sur un camion, puis dans un fourgon-réservoir, et on transportait les excréments dans des seaux pour les enfouir dans des fosses ou les déverser dans des fosses septiques. Plus tard on installa un incinérateur pour brûler les éléments solides des latrines, la partie liquide allant aux égouts.

Les ordures étaient détruites dans un incinérateur en béton et brique. Quant aux restes de nourriture, ils étaient vendus par contrat à M. Pierre Develle, éleveur de porcs de Palleau, village proche d'Allerey.

Beaucoup de patients qui arrivaient par les trains sanitaires étaient infestés de parasites. Il était aussitôt procédé à leur nettoyage complet ainsi qu'à la désinfection de leurs vêtements. Pour éviter la propagation des maladies, surtout lors d'afflux de patients à soigner, on plaçait les lits tête-bêche, on les séparait avec des paravents de fortune et on respectait strictement la ventilation. De plus, dans les salles communes on installait des alcôves, et dans les services où l'on traitait les maladies respiratoires et infectieuses, les patients et le personnel portaient des masques, ce qui se révéla efficace.

Même avec de telles mesures, des débuts d'épidémies apparurent. En août, on releva quelques cas isolés de méningite. Fin septembre et début octobre arrivèrent des malades atteints de la grippe espagnole, mais cette situation alarmante s'atténua en novembre. En octobre, on signalait quelques cas de diphtérie et il s'en manifesta jusqu'à la fin de décembre, sans atteindre des proportions critiques; on jugula cette épidémie grâce à une quarantaine très stricte, à l'isolement et à des traitements appropriés.

.

* COMMUNICATIONS (Poste, Télégraphe, Téléphone)

Les documents importants, à destination ou provenant des états-majors de Nevers et du bureau du chirurgien-chef à Tours, étaient, en général, acheminées par estafettes.

Au début, le service postal était installé dans une petite pièce du bâtiment occupé par le Q.G. du Génie. Chaque jour le vaguemestre transportait sur son dos le courrier arrivé à la poste d'Allerey...

Les activités postales du Centre hospitalier commencèrent le 6 juillet 1918, mais il ne reçut son propre numéro de secteur postal que le 25 août, à savoir : A.P.O. / 785. Le bureau occupa alors un bâtiment prévu spécialement, jusqu'au 6 mai 1919.

En septembre furent mis en service un bureau des recommandés dont l'activité s'accrut rapidement, et un bureau des mandats (20 000 dollars en décembre). A partir de novembre, on manipulait chaque jour 40 sacs de courrier reçu et 10 000 lettres étaient expédiées.

L'installation à cette époque d'un fichier de tous les membres du personnel accéléra la distribution du courrier et le succès de ce service eut alors une grande influence sur le moral de tous les intéressés (dixit l'autorité militaire).

Les premiers temps, la ligne télégraphique française fut la seule disponible au Centre hospitalier.

Un interprète du bureau du Génie recevait et envoyait par téléphone, les messages concernant le Centre, par l'intermédiaire du bureau de la gare d'Allerey. Mais le fonctionnement de ce service était très défectueux. Il fut bientôt étendu jusqu'à Dijon et les communications demeuraient difficiles. C'est seulement lorsque le Centre hospitalier fut branché sur des lignes américaines que les liaisons avec l'extérieur furent satisfaisantes...

Au début il n'y avait pas de postes téléphoniques pour les communications internes, ce qui ralentissait le service. Mais peu à peu on en installa et en octobre on en comptait 46. A cette date arriva un détachement du corps des transmissions qui mit en marche un bureau central capable d'assurer en moyenne chaque jour les fonctions suivantes : 425 appels téléphoniques intérieurs, 25 appels vers l'extérieur, à grande distance et 36 reçus, 60 télégrammes reçus et 75 émis (Ne sont pas comptabilisées les communications internes vers les diverses unités hospitalières équipées pour des appels locaux).

.

* LA BANQUE

En novembre 1918, sur la proposition de l'officier en chef du Centre, la succursale de Chalon de la Société Générale ouvrit une annexe dans le Centre hospitalier d'Allerey.

Pour convoyer les fonds entre Allerey et Chalon, dans les deux sens, la police militaire fournit des gardes et le parc automobile mettait à disposition les véhicules nécessaires.

Ouverte de 10 à 16 heures, les lundis, mercredis et vendredis, cette banque se révéla très commode. En plus de l'encaissement des chèques, elle vendait des bons d'emprunts français.

(COLL. C. TETON)
Envoi recommandé de Centre hospitalier d'Allerey, n° de secteur postal : A.P.O.1785 --- Visa de censure.
Expéditeur: Capt. George E. Shepherd, Allerey Destinataire : Jacob Frères et Gabin, Navilly. Date : 20 décembre 1918.

(COLL. C. TETON)
Carte envoyée de Secteur postal A.P.O. 735 (ALLEREY)
aux U.S.A. le 6 avril 1919.

Retour à l'envoyeur (NO RECORD)
par A(rmy) P(ost) O(ffice) 785 (ALLEREY), le 12 octobre 1918

.

* LE PARC AUTOMOBILE

Un des plus grands handicaps du Camp était le manque de moyens de transport, à vapeur ou à moteur. Allerey étant un petit village, son équipement ferroviaire était insuffisant pour répondre à l'importance des besoins nouveaux. Les transports par route furent inadaptés à la situation pendant plusieurs mois. Au camp, il y avait peu de camions et, le petit nombre d'ambulances, trop légères pour être utilisées à certains transports, ne suffisant pas pour assurer l'approvisionnement du Centre hospitalier aux marchés voisins, il était nécessaire d'utiliser souvent camions et ambulances, de jour et de nuit.

Le service des transports automobiles avait la charge de la fourniture, de l'entretien et de la bonne marche de tous les véhicules automobiles affectés au Centre, ainsi que l'approvisionnement en pièces de rechange. Il devait assurer un transport convenable à toutes les unités (hôpitaux de base). D'abord sous la direction du service d'intendance, il devint autonome en juillet 1918. A l'origine, on ne disposait d'aucun camion pour desservir les hôpitaux de base et on y suppléa par des emprunts éventuels de camions du service des constructions, après 18 heures ou en cas d'urgences.

Peu à peu le parc automobile s'agrandit et la situation s'améliora considérablement après l'arrivée d'une compagnie de camions, avec 72 hommes et des moyens de transport suffisants. Des compagnies de camions et d'ambulances furent créées, mais le service se trouva néanmoins gêné par le manque de pièces de rechange ou d'essence. Et dans les cas urgents, il fallait envoyer des camions, dont on pouvait pourtant difficilement se passer, à Nevers et à Dijon, pour rapporter ces pièces ou du carburant.

La fourniture de 15 000 litres d'essence par mois accordés au Centre hospitalier se révéla tout à fait insuffisante et les besoins augmentèrent rapidement jusqu'à décembre. A cette date il fallait 30 000 litres d'essence par mois pour faire tourner le matériel roulant, les générateurs d'électricité ainsi que les stations de pompage.

Dès novembre, des ateliers se trouvèrent enfin bien équipés, le poste d'essence avait été installé et la pénurie avait cessé. On avait trouvé des mécaniciens qualifiés dans le personnel des services du Centre et au Camp de convalescence, qui furent affectés à la Compagnie des camions. Sur les 50 véhicules du Centre, on n'en comptait plus qu'un ou deux à l'atelier de réparation, malgré une utilisation intensive.

Toutefois, une des principales sources de problèmes fut la dégradation progressive des routes, due à un trafic sans cesse croissant, qui ralentissait la circulation et abîmait les véhicules. Aussi, il était exigé que les conducteurs ne quittent pas leur véhicule avant de l'avoir nettoyé, lavé et graissé et d'avoir effectué le plein d'essence et les réparations mineures.

Les trois premiers hôpitaux du Centre, qui avaient été organisés comme unités de la Croix-Rouge américaine, n'avaient pas reçu les véhicules qui leur avaient été attribués aux Etats-Unis, et ne disposaient que de quatre voitures Ford qui furent mises à la disposition des diverses unités (hôpitaux de base) à tour de rôle.

.

* LES TRANSPORTS FERROVIAIRES

L'officier des transports ferroviaires avait la responsabilité du transport par fer du personnel et des approvisionnements dans les deux sens (vers le Centre hospitalier ou vers l'extérieur). Mais les mouvements des trains-hôpitaux étaient sous la direction du poste de régulation d'Is-sur-Tille, et la surveillance des embranchements intérieurs du camp était du ressort de l'intendant du Centre.

Parc automobile.

Dépôt d'essence.

 

Les mécaniciens du camp.

L'officier des transports ferroviaires, sur l'indication du nombre de patients bons pour le départ et de leur lieu d'affectation, adressait une demande au Bureau des transports de troupes, à Tours, puis faisait savoir à l'officier d'évacuation la date à laquelle le transport était possible.

Son bureau, à la gare d'Allerey, était relié téléphoniquement au Centre hospitalier et assurait un service de jour et de nuit. Par des communications téléphoniques à longue distance, l'heure d'arrivée des trains destinés aux détachements en partance était signalée en temps voulu pour que ceux-ci puissent se déplacer sans subir d'attentes fastidieuses, mais à l'heure dite.

Cet officier devait en outre rechercher le fret égaré, signaler aux états-majors du Centre l'heure d'arrivée des trains-hôpitaux, organiser les déplacements du wagon-navette vers ou en provenance de Dijon (voir "Les services d'intendance"), et se maintenir en liaison avec le 4ème bureau du Ministère de la Guerre français.

.

* LES SERVICES D'INTENDANCE

L' officier d'intendance (Quarter Master) avait la responsabilité de plusieurs services importants.

Les vivres

La section "Subsistence" était chargée de tout ce qui concernait les produits alimentaires.

Pendant plusieurs semaines après l'arrivée du premier hôpital, le pain et la viande fraîche furent acheminés depuis Dijon par camion, mais dès que des malades arrivèrent en très grands nombres, le transport par camion devint insuffisant ; on mit alors en service un wagon de chemin de fer-navette escorté par des hommes de troupe. Cette nouvelle navette fonctionna environ six mois, jusqu'à ce qu'une manutention (boulangerie) fût installée au Centre hospitalier et que la viande fraîche fût expédiée directement des entrepôts. La navette servit alors au transport du linge sale vers une blanchisserie civile de Dijon.

Les autres vivres arrivèrent finalement de façon automatique en provenance des magasins de bases et furent réparties par l'officier d'intendance du Centre aux divers postes d'intendance.

Un tel mode de livraisons exigeait environ 10 wagons par jour, mais à une certaine période (novembre-décembre 1918), alors que le Centre hospitalier fonctionnait à plein et qu'il fallait environ 23 000 rations quotidiennement, pas moins de 27 wagons arrivaient chaque jour.

Pour faire face aux besoins accrus, on nomma un agent acheteur pour le Centre. Il groupait les demandes des divers hôpitaux de base pour effectuer les achats de légumes frais, œufs, lait, que les entrepôts ne pouvaient fournir. Ce système était nécessaire pour empêcher les surenchères entre les hôpitaux de base auprès des marchés locaux, pour faire des économies grâce à des achats en gros, pour répartir ceux-ci en fonction des besoins, enfin pour étendre les zones d'achats au-delà des lieux accessibles aux ensembles hospitaliers ; ces produits étaient souvent achetés à des marchés lointains, par exemple les pommes de terre en Bretagne ou les œufs à Alger.

Afin d'éviter l'encombrement de l'entrepôt du Centre et en vue de répondre aux besoins pouvant naître d'un développement inattendu du Centre hospitalier, les officiers en chef des divers ensembles devaient tenir prêts des produits comestibles non-périssables, jusqu'à la contenance maximale de leurs installations, à savoir une réserve de l'ordre de deux mois. Ces mesures apparurent très utiles lorsque le Centre connut une expansion rapide en octobre 1918, car ni l'état des routes, ni les moyens de transport disponibles n'auraient permis un service d'intendance suffisant.

L'entrepôt central.

La boulangerie (les sept fours, les pains, le personnel).

Dès que la viande fraîche arriva par grandes quantités, on commença par la stocker dans une chambre froide installée dans l'entrepôt et construite d'après des plans du service des vivres de l'intendance. Cette chambre froide était tout bonnement une caisse de 6 m au carré et de 3,60 m de haut, aux parois et au toit de 30 cm d'épaisseur ; ces parois étaient remplies de sciure compactée et munies de porte ajustées de manière étanche. La viande congelée ramenait rapidement la température de cette chambre à un niveau permettant de disposer d'une réserve d'une semaine sans glace. Plus tard, on construisit une glacière ayant un débit d'une tonne de glace par jour et, associée à cette glacière, une chambre froide pouvant stocker 50 tonnes environ de viande, légumes frais, etc.

Boulangerie et boucherie

Une manutention (boulangerie) fut installée en août par la "Bakery Company n° 357" et elle s'agrandit progressivement jusqu'à avoir sept fours. Dès octobre, elle fournissait 12 000 kg de pain par jour et elle assura ce débit pendant plusieurs mois. Rendu possible grâce à des équipes de jour et de nuit, ce rendement n'arrivait pas, cependant, à satisfaire entièrement la demande au moment du plus haut niveau d'occupation du Centre, et il fallait recourir à plusieurs envois en provenance de la manutention de Dijon pour faire l'appoint.

La compagnie de boucherie n° 331 affectée au Centre hospitalier avait ses services répartis entre les divers hôpitaux de base, et son personnel donnait des conseils aux cuisiniers pour les soins à apporter à la viande ainsi que pour le découpage.

Boutique de ventes

Après avoir organisé le Centre hospitalier, on installa rapidement une boutique de ventes, mais on s'aperçut bien vite que celle-ci ne pouvait pas satisfaire toutes les demandes : de nombreux malades étaient dans l'incapacité d'y venir et le personnel n'avait pas le temps de s'en occuper.

Les membres de la Croix-Rouge américaine des diverses unités achetaient les articles les plus demandés (par exemple, tabac, confiserie, etc.) dans la limite de leurs possibilité de stockage, et les revendaient au prix coûtant aux malades (soldats ou sous-officiers) ou au personnel de service. Les officiers de mess se chargeaient de la vente d'articles aux officiers et aux infirmières.

La section finances

Elle versait tous les fonds autres que ceux alloués aux officiers en chef des diverses unités par le chirurgien en chef. Les officiers d'intendance des hôpitaux de base assuraient le paiement mensuel des malades et du personnel de chaque unité. Les versements s'élevaient à environ 500 000 dollars par mois, mais ce chiffre augmenta de 20% pendant plusieurs mois.

Le service de blanchisserie

Ce service posa de sérieuses difficultés pendant toute l'existence du Centre hospitalier. Une partie des articles à laver était traitée sous contrat à Dijon, à 55 km du Centre. Le linge était expédié et ramené au début par camions, et plus tard par train-navette. Toutes les ressources de Dijon s'avérèrent insuffisantes rapidement, si bien que l'on installa une "blanchisserie à la main" (un lavoir) à Verdun-sur-le-Doubs, à 4 km du Centre : on loua un bateau-lavoir, on embaucha trente blanchisseuses et on installa quinze grosses lessiveuses.

Par la suite, on reçut deux blanchisseries mobiles qui fonctionnaient 24 heures sur 24. Le rendement de ces installations était de l'ordre de 200 000 pièces de linge par mois. En septembre 1918, plusieurs "fournées" de linge d'hôpital furent transportées par camions et traitées par des blanchisseries mobiles à Beaune, lorsque les circonstances leur permettaient de rendre ce service.

En octobre, cette blanchisserie à vapeur de Beaune, prévue pour servir a la fois le Centre de Beaune et le Centre d'Allerey, commença à fonctionner et, dès qu'elle fut en mesure de satisfaire à la demande des deux Centres, elle ne fit plus que cela. Elle fonctionnait par équipes de jour et de nuit, mais son rendement n'atteignit jamais celui de Mesves (dans la Nièvre) qui avait été conçu pour traiter 270 tonnes de linge par mois.

Le plus grand nombre de pièces lavées par le Centre d'Allerey pendant un mois fut de 300 000 en décembre 1918. Pendant la période la plus chargée, des employées civiles des divers hôpitaux de base lavèrent le linge des salles d'opérations, mais en dépit de leurs efforts et de l'utilisation de toutes les ressources disponibles, il n'y eut pas moins de 100 000 pièces de linge en attente de lavage.

La section du matériel

La section du matériel du département de l'intendance fournissait le combustible, le fourrage, l'essence, l'habillement, les équipements, les armes, etc.

Le bois et le fourrage étaient achetés sur place ; le charbon arrivait par les ports fluviaux ; d'autres articles provenaient de dépôts.

Il était nécessaire d'avoir en réserve une grande quantité de vêtements et d'équipements, en raison de la rotation rapide des hospitalisés, dont la durée moyenne de séjour au Centre d'Allerey n'était que de 17 jours, et qui devaient partir avec un habillement et un équipement complets. Le stock disponible à une certaine époque était suffisant pour 40 000 hommes, et d'une valeur d'un million de dollars. Etant donné qu'on ne disposait pas de bâtiments assez vastes pour entreposer de telles quantités, on conservait les articles les plus volumineux sous des bâches, le tout reposant sur des plates-formes construites à cet effet.

Service d'entretien

Pendant les travaux de construction du Centre par le Génie, l'intendance avait la charge du matériel et des réparations et commandait les charpentiers, les plombiers, les électriciens, les cordonniers, etc.

L'entretien était en principe assuré par les officiers d'intendance de chaque unité, mais l'officier en chef de l'intendance dirigeait ce service pour l'ensemble du Centre et s'occupait des questions exigeant de grands moyens ou une compétence technique que ne possédaient pas chacune des unités hospitalières.

Service de la traction

Le transport par animaux ne prit jamais, à Allerey, de très grandes proportions, mais on maintint en service plusieurs attelages presque jusqu'à la fermeture du camp, surtout pour desservir celles des unités hospitalières qui ne pouvaient l'être par camions automobiles.

Après la création d'un parc automobile, le seul autre mode de transport fut les wagons de marchandises faisant la navette et ceux qui circulaient sur les embranchements à l'intérieur du Centre. Ces derniers étaient chargés dans l'entrepôt puis tractés par des camions roulant sur le chemin longeant la voie, ce qui permettait de faire davantage de livraisons qu'avec un seul camion et rendait disponibles de nombreux véhicules pour des transports de faible tonnage (voir au bas de la gravure, page 44).

Service de récupération

Le service de récupération du Centre était sous la direction de l'intendant général, mais en pratique la récupération était assurée par les diverses "unités" du camp dont les collectes étaient rassemblées par le service général.

Certains articles étaient l'objet d'une attention particulière : les matières grasses, les toiles d'emballage, le papier, les boîtes de conserves, les bouteilles, les os, le caoutchouc et le fil de fer. Les matières grasses recueillies étaient clarifiées par ébullition et filtrage avant expédition ; les toiles et les papiers étaient mis en balles; quelques chargements complets de boîtes de conserves étaient envoyés à des centres de récupération ; les bouteilles étaient renvoyées pour réutilisation ou expédiées à un dépôt; les clous, le fil de fer, le caoutchouc et les os étaient dirigés vers d'autres dépôts.

Les opérations de récupération concernaient bien d'autres articles encore, mais tous ceux qui pouvaient être utilisés autrement ou remis en état, étaient conservés pour être réparés ou nettoyés et remis aux services appropriés.

A la récupération était associée la lutte contre le gaspillage, aussi bien des produits comestibles que d'autres articles comme l'habillement. Et on arrivait à tirer un certain profit de la vente de déchets alimentaires à des entrepreneurs qui enlevaient les ordures (voir plus haut : "Aménagements sanitaires").

Autres services de l'intendance

Par ailleurs, l'intendant général commandait le bataillon de travail affecté au Centre, les compagnies de boulangers et de bouchers, le détachement de blanchisserie mobile, les employés civils et autres travailleurs de ce département.

Cette tâche était difficilement menée à bien, en raison de l'éparpillement de ce personnel, et ne put être assurée que par des officiers convalescents chargés de surveiller le travail des groupes les plus importants.

Un service moins nombreux mais permanent s'occupait du déchargement des wagons et avertissait de leur retour l'officier des transports par fer.

De l'intendant général dépendait également le cimetière du Centre hospitalier (A.E.F. Cemetery n° 84), pour les questions matérielles et la tenue des registres (voir chapitre : "Le cimetière").

Panneau qui était fixé sur le bâtiment de la Direction des travaux.
(COLLECTION G.E.H.V.)

Rue de la gare et dépôt.

Déchargement de marchandises.


ADMINISTRATION, SERVICES, ACTIVITES

Table des Matières